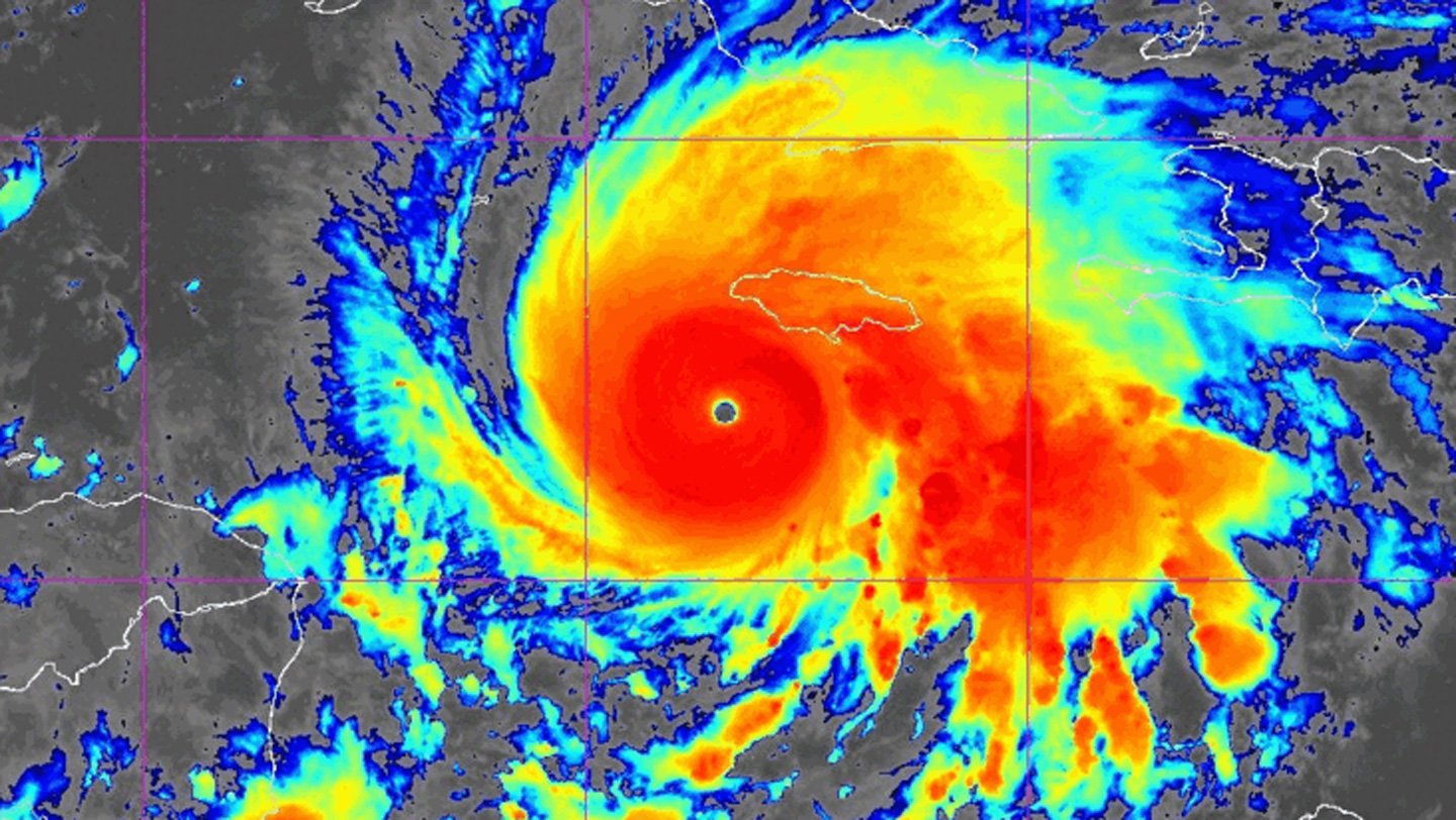
With winds whirling at about 290 kilometers per hour, Hurricane Melissa is one of the strongest ever recorded in the Atlantic Ocean — and is poised to become the strongest storm ever to make landfall in Jamaica. It’s also a huge storm, with hurricane-force winds extending over 70 kilometers from its core. Hours before official landfall, heavy rains and battering winds had already begun to lash the island.
After the Category 5 storm roars ashore over Jamaica on October 28, its path will take it spinning over Cuba, Haiti and the Dominican Republic. Those in its path are bracing for catastrophic flash flooding and landslides, storm surge and waves, and intense winds powerful enough to destroy homes and infrastructure.
The story of this latest hurricane sounds all too familiar: The slow-moving storm was initially unfocused and disorganized, but two days of lingering over deep, warm ocean water gave it enough fuel to whip itself into a tightly spinning catastrophic force of nature, centered around a piercingly sharp eye.
Such rapid intensification of tropical storms into major hurricanes has become the norm as ocean temperatures continue to rise around the globe. Climate change models have projected that hurricanes will also move more slowly as the planet warms — not only giving the storms time to gather more energy from the hot water, but also to dump copious amounts of rain after landfall. Forecasters are projecting that Melissa is holding so much moisture that it could dump as much as a meter of rain on Jamaica.
Climate change models have been inconclusive when it comes to whether global warming will increase the frequency of tropical cyclones, called hurricanes in the Atlantic. But the climate simulations do indicate that global warming will increase the average intensity of tropical cyclones, the peak wind speeds of tropical cyclones and the proportion of cyclones overall that will be very intense.
The 2025 Atlantic Ocean hurricane season in some ways exemplifies this new normal. The year has so far seen only five hurricanes, but three of them, including Melissa, have been Category 5 storms — which means that an astonishing 60 percent of the storms have fallen into that most extreme category. In comparison, there were four in 2005, including Hurricane Katrina — just over a quarter of that year’s 15 total hurricanes.
